- Photos
- Localisation
- Infos Norville




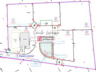
Description Terrain Norville
Découvrez ce beau terrain plat à Notre-Dame-de-Gravenchon (PJ2S), au calme, proche des commerces et avec accès facile aux grands axes.
Viabilisé, avec coffrets de raccordement sur le terrain.
Libre de constructeur!
Assainissement individuel à prévoir.
Prix: 65300 euros, honoraires charge vendeurs.
Les autres parcelles du lotissement présentées sur le plan sont également en vente.
Me consulter pour plus d'informations.
Les informations sur les risques auxquels ce bien est exposé sont disponibles sur le site Géorisques: .
Bien non soumis au DPE.
Pour visiter et vous accompagner dans votre projet, contactez Cécile LESUISSE, au 0671107563 ou, par courriel à
Selon l'article L.561.5 du Code Monétaire et Financier, pour l'organisation de la visite, la présentation d'une pièce d'identité vous sera demandée.
Cette présente annonce a été rédigée sous la responsabilité éditoriale de Cécile LESUISSE agissant sous le statut d'agent commercial immatriculé au RSAC Le Havre 952 627 412 auprès de SAS PROPRIETES PRIVEES, au capital de 44 920 euros, ZAC LE CHÊNE FERRÉ - 44 ALLÉE DES CINQ CONTINENTS 44120 VERTOU; SIRET 487 624 777 00040, RCS Nantes. Carte Professionnelle Transactions sur immeubles et fonds de commerce (T) et Gestion immobilière (G) n°CPI 4401 2016 000 010 388 délivrée par la CCI Nantes - Saint Nazaire. Compte séquestre n°30932508467 BPA SAINT-SEBASTIEN-SUR-LOIRE (44230). Garantie GALIAN-SMABTP - 89 rue de la Boétie, 75008 Paris - n°28137 J pour 2 000 000 euros pour T et 120 000 euros pour G. Assurance responsabilité civile professionnelle par GALIAN-SMABTP n° de police 28137.J
Mandat réf : 421987. - Le professionnel garantit et sécurise votre projet immobilier.
Cécile LESUISSE (EI) Agent Commercial - Numéro RSAC : Le Havre 952 627 412 - .
- Annonce Pro
- Surface845 m2


