- Photos
- Localisation
- Infos Roquefort-des-corbieres







Description Terrain Roquefort-des-corbieres
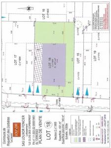
A ROQUEFORT DES CORBIERES Terrain à vendre de 428m2, très bien exposé
Situés à l'entrée du magnifique village de Roquefort des Corbières, village de 1000 habitants environ à 5 minutes de l'accès autoroute de Sigean, à 10 Minutes des Plages de Port la nouvelle, entre Narbonne, Leucate et Perpignan, seulement 45 minutes de la frontières espagnole.
Lotissement calme, terrain disponible immédiatement
D'autre Terrain disponible avec des surfaces différentes, tous sont vendus viabilisés et libre choix de constructeur
Plusieurs lots de 342 m2 à 452 m2 sont encore disponible
Liste Mise a jour au 28-10-24
Prix du Terrain de 428m2 ci dessus présenté : 96000E Honoraire A charge vendeur
N'attendez plus ce terrain ne restera pas longtemps disponible.
Consommation énergie primaire : Non communiqué
Consommation énergie finale : Non communiqué
Pour tous renseignement contacté votre responsable secteur
Marie Laure au 06 50 82 62 78.
Email:
- Annonce Pro


Vente Narbonne